Tiga Siklon Mengancam Jelang Nataru, Prabowo: BMKG Harus Giat Beri Peringatan Dini

- BMKG mewaspadai tiga fenomena siklon sekaligus: Siklon Tropis Bakung (kategori 2, kecepatan 75 km/jam), Bibit Siklon 93S (selatan Jawa Timur), dan Bibit Siklon 92S (barat Bengkulu) yang mengancam berbagai wilayah Indonesia.
- Presiden Prabowo instruksikan BMKG fokus pada peringatan dini di daerah berpotensi curah hujan tinggi menjelang Natal dan Tahun Baru 2026, terutama untuk wilayah Bengkulu, Lampung, Sumbar, Jatim, Bali, dan NTB.
- Dampak tidak langsung hingga 14 Desember 2025 berupa hujan sedang-lebat dan angin kencang, meski potensi Bibit Siklon 92S dan 93S menjadi siklon tropis penuh dinilai rendah dalam 24 jam ke depan.
, JAKARTA – Badan Meteorologi, Klimatologi dan Geofisika (BMKG) tengah mewaspadai dampak dari tiga fenomena cuaca ekstrem sekaligus: Bibit Siklon Tropis 92S, Bibit Siklon Tropis 93S, dan Siklon Tropis Bakung. Presiden Prabowo Subianto merespons situasi ini dengan menginstruksikan BMKG memfokuskan sistem peringatan dini, terutama menjelang periode Natal 2025 dan Tahun Baru 2026.
Menteri Sekretaris Negara Prasetyo Hadi menyampaikan arahan kepala negara tersebut sebelum Prabowo melakukan kunjungan ke posko pengungsi di Kecamatan Tanjung Pura, Kabupaten Langkat, Sumatera Utara, Sabtu (13/12/2025). Presiden menekankan pentingnya penyampaian informasi peringatan dini kepada masyarakat di daerah-daerah berpotensi curah hujan tinggi.
“Beliau (Presiden Prabowo) meminta untuk terus diperhatikan, termasuk peringatan dini dari BMKG untuk beberapa daerah yang mungkin di Natal dan Tahun Baru ini akan mengalami peningkatan curah hujan untuk juga menjadi perhatian,” ujar Prasetyo melalui keterangan resmi di Jakarta, dikutip dari Antara, Sabtu.
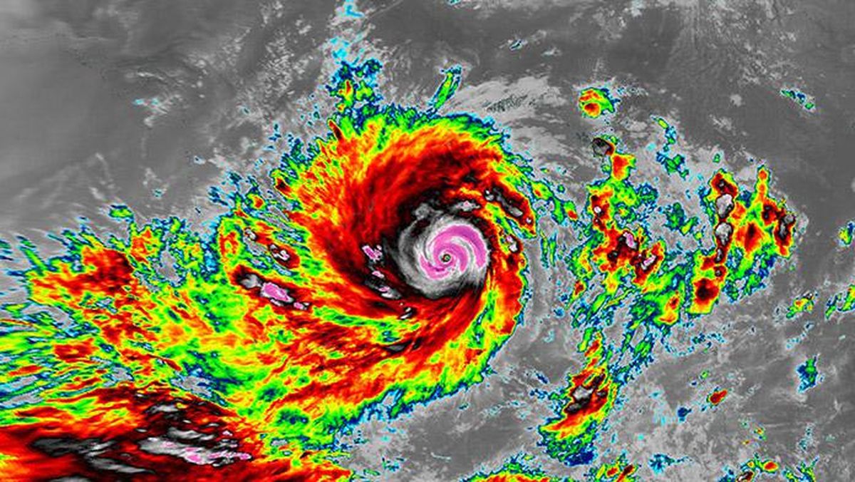
BMKG mencatat tiga fenomena cuaca ekstrem yang perlu diwaspadai dengan karakteristik berbeda. Berikut rinciannya:
Siklon Tropis Bakung
Status Bibit Siklon 91S di Samudra Hindia barat daya Lampung telah meningkat menjadi Siklon Tropis Bakung sejak Jumat (12/12/2025) pukul 19.00 WIB. Hasil analisis BMKG menunjukkan siklon ini memiliki kecepatan angin maksimum mencapai 40 knot atau setara 75 kilometer per jam, dengan tekanan udara minimum 996 hektopascal (hPa).
Intensitas Siklon Tropis Bakung diprediksi akan meningkat dalam 24 jam ke depan menjadi kategori dua. Pergerakannya mengarah ke Barat-Barat Daya, menjauhi wilayah Indonesia. Meski demikian, dampak tidak langsung tetap dirasakan hingga Sabtu (14/12/2025) pukul 07.00 WIB.
Wilayah yang terdampak meliputi Bengkulu dan Lampung yang berpotensi mengalami hujan sedang hingga lebat. Sementara itu, angin kencang diprediksi melanda Bengkulu.
Bibit Siklon Tropis 93S
Fenomena kedua adalah Bibit Siklon Tropis 93S yang terbentuk pada Rabu (11/12/2025) pukul 07.00 WIB. Posisinya saat ini berada di sekitar Samudra Hindia sebelah selatan Jawa Timur, dengan kecepatan angin maksimum 15 knot atau 28 kilometer per jam dan tekanan udara minimum 1.006 hPa.
BMKG menilai potensi Bibit Siklon Tropis 93S berkembang menjadi siklon tropis penuh dalam 24 jam ke depan tergolong rendah. Namun, dampak tidak langsungnya tetap perlu diwaspadai hingga Sabtu (14/12/2025) pukul 07.00 WIB.
Wilayah yang berpotensi terdampak adalah Jawa Timur, Bali, dan Nusa Tenggara Barat yang diprediksi mengalami hujan sedang hingga lebat. Angin kencang juga berpotensi melanda Jawa Timur dan Bali.
Bibit Siklon Tropis 92S
Bibit Siklon Tropis 92S terbentuk lebih awal, yakni pada Selasa (10/12/2025) pukul 07.00 WIB. Posisinya kini berada di sekitar Samudra Hindia sebelah barat Bengkulu dengan kecepatan angin maksimum 20 knot atau 37 kilometer per jam, dan tekanan udara minimum 1.007 hPa.
Sama seperti Bibit Siklon 93S, potensi fenomena ini berkembang menjadi siklon tropis penuh dalam 24 jam ke depan juga dinilai rendah. Dampak tidak langsung hingga Sabtu (14/12/2025) pukul 07.00 WIB berupa hujan sedang hingga lebat di wilayah Sumatera Barat.
Ketiga fenomena cuaca ekstrem ini menjadi perhatian serius pemerintah mengingat periode Natal dan Tahun Baru biasanya menjadi momen liburan dengan mobilitas masyarakat yang tinggi. Cuaca buruk berpotensi mengganggu aktivitas perjalanan dan meningkatkan risiko bencana hidrometeorologi seperti banjir, tanah longsor, dan angin kencang.
BMKG mengimbau masyarakat di wilayah-wilayah terdampak untuk selalu memantau informasi cuaca terkini dan mengikuti arahan dari pihak berwenang. Koordinasi antara pemerintah pusat, daerah, dan lembaga terkait terus diperkuat untuk mengantisipasi kemungkinan terburuk.
Instruksi Presiden Prabowo untuk mengintensifkan sistem peringatan dini menunjukkan keseriusan pemerintah dalam mitigasi bencana. Langkah ini diharapkan dapat meminimalkan dampak kerugian baik materiil maupun korban jiwa akibat cuaca ekstrem.
Ikuti Update Kami
Dapatkan berita dan artikel pilihan langsung di: